Title image

Fishery Unit


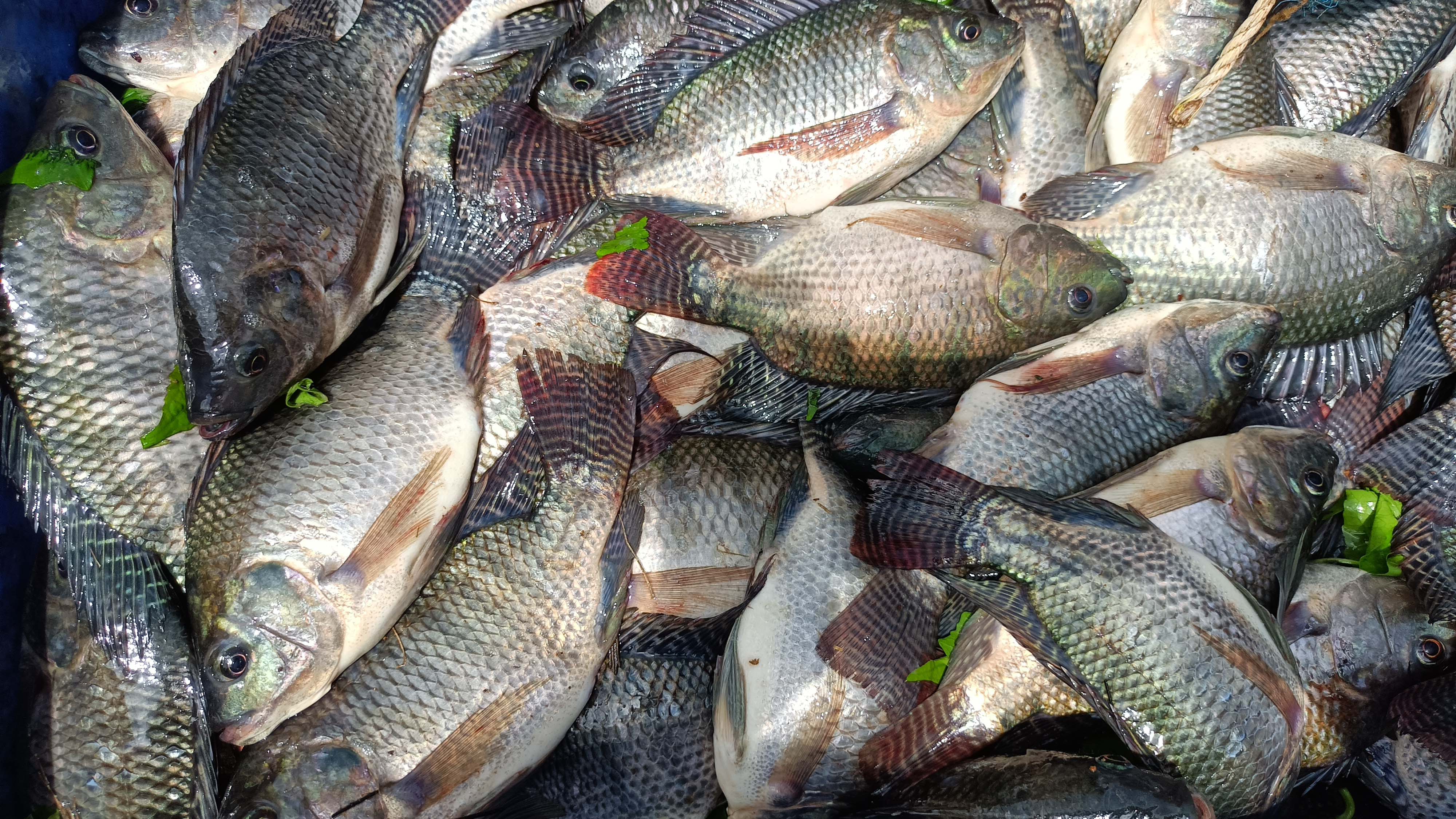
At KVK farm we have a Thelepia fish farming unit, where ALL MALE GIFT Thelepia fish is reared in a liner pond of size 30ftx100ftx7ft. The unit is maintained to showcase the new technology of fish farming with improved fish varities and manual feeding to achieve increased fish growth and yield. Every year around 8000 fishlings are cultured and a yield of around 40000kg is achived. Harvested fish is sold to the local people and market.

fishery

Tilapia Fish Harvest